支原体(Mycoplasma)是一种无细胞壁的Z小原核细胞微生物,广泛存在于自然界中,并且有多种可以寄居在人体中。支原体是实验以及生活中非常不希望出现的微生物,它们容易获得且难以检测,会在分子层面改变受感染细胞,导致细胞形态和生长特性的可见变化。在各种应用中检测&清除支原体是必要的。

那么问题来了,为什么要检测你的细胞是否存在支原体?
由于其体积小,支原体可以存在于您的生长培养基中而不被明显检测到。这可能会在您的实验中造成重大错误,支原体几乎影响细胞行为的方方面面:
①由于营养戒断和有害代谢产物的分泌而抑制增殖
②免疫反应
③对病毒增殖和病毒感染率的影响
④染色体畸变
⑤微阵列和基因表达谱的变化

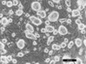
3T3培养中支原体缺失(A)和存在(B)
现今,许多出版商现在要求支原体检测报告与文章稿件提交一起,以确保数据报告的准确性。
建议及时检测细胞培养中的支原体,以防止广泛污染并节省实验成本。
abm推出以更低的成本享受Z越的性能!支原体PCR检测试剂盒
| 货号 | 中文名称 | 英文名称 | 规格 |
| G238 | 支原体检测 | PCR Mycoplasma Detection Kit | 100 Reactions |
| G398 | 支原体清除 | Mycoplasma Elimination Cocktail | 1.0ml |
(Cat:G238)支原体检测:可在不到2小时内对200+支原体株进行高度特异性和敏感性的检测。这款畅销试剂盒旨在Z大限度地减少假阳性,确保快速可靠的常规筛选细胞培养。国家公共卫生机构的一份官方出版物发现:我们的试剂盒优于Sigma和Lonza的试剂盒,同时比ATCC的试剂盒便宜6倍(Russell et al.,2020)。
参考:
https://www.sciencedirect.com/science/article/pii/S0166093419304070?via%3Dihub


无需DNA分离:直接加入细胞培养上清进行PCR反应;
快速全面:在不到2小时内检测200多种支原体;
高度敏感和特异性:与竞争试剂盒相比,显示出Z高的真阳性率和Z低的假阳性率;
易于使用:包括即用型和阳性控制;
与竞争试剂盒相比:每个样品的成本降低了6倍;优于Sigma和Lonza。
结合我们Z畅销的支原体清除试剂(Cat:G398),试剂无毒,在短短2-3周内(4-6个细胞传代)就能消除70多种支原体!

作为Applied Biological Materials在中国的区域代理,艾美捷科技有限公司将为中国客户提供Z全面的Applied Biological Materials以及客户订制化服务。欢迎大家随时联系我们。






